Движение на проспекте Республики в Астане полностью восстановят 20 июля, сообщает Tengrinews.kz со ссылкой на акимат столице.
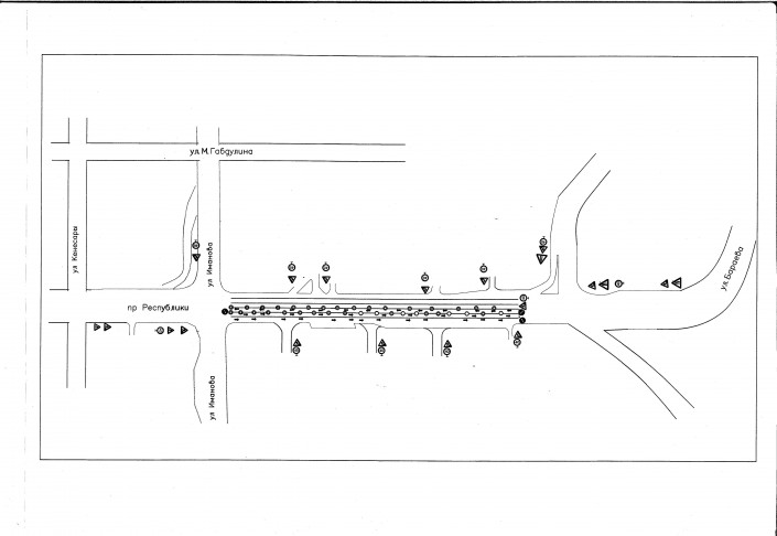
Столичным Управлением автомобильных дорог города продолжаются ремонтные работы по проспекту Республикина участке от улицы Иманова до транспортной развязки в районе микрорайона "Самал".
"С 17 по 19 июля этого года на указанном участке сохраняется частичное перекрытие движения автотранспортных средств. Движение транспорта на проспекте Республики будет полностью восстановлено 20 июля", - говорится в распространенной информации.
Во избежание возникновения заторовых ситуаций на дорогах города Управление рекомендует жителям и гостям столицы заранее планировать свои маршруты.
Ранее сообщалось, что проспект Республики перекроют с 14 по 17 июля.